Local Service Overview

Get Red Ant Extermination in Tomball, TX

Red Ant Extermination services for property owners in Tomball, TX, address pest infestations, rodent control, termite treatments, and other pest-related projects.

Tomball, TX

Red ant extermination services are essential for property owners in Tomball, TX seeking to protect their homes and outdoor spaces from invasive pests. These services help prevent damage to structures, reduce the risk of bites or allergic reactions, and maintain a clean, pest-free environment. By addressing ant infestations promptly, property owners can enjoy a more comfortable living space, free from the nuisance and potential hazards posed by these resilient insects.

Choosing professional ant extermination offers several benefits, including enhanced safety, improved curb appeal, and reduced ongoing maintenance. Effective pest control can help preserve the durability of outdoor features and landscaping by preventing ant-related damage. Additionally, a pest-free property contributes to a safer, more inviting atmosphere for residents and visitors alike, supporting overall functionality and aesthetic appeal.

Get Red Ant Extermination Quotes

  • Red Ant Extermination services are needed when red ants invade homes or commercial properties in Tomball, TX and nearby areas.
  • Red Ant Extermination is essential for preventing infestations in outdoor spaces such as gardens, lawns, and landscaping features.
  • Red Ant Extermination may be required when red ants pose a threat to children, pets, or the structural integrity of a building.
  • Red Ant Extermination services are useful after discovering red ant colonies in hard-to-reach areas like wall voids or underground nests.
  • Red Ant Extermination is recommended for maintaining pest-free environments in residential and commercial settings in Tomball and surrounding communities.

Get Red Ant Extermination Quotes

Red Ant Extermination
Red Ant Extermination
Red Ant Extermination

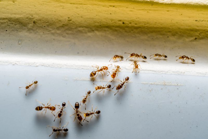
Red ant extermination services are specialized treatments designed to eliminate red ants from residential and commercial properties. These services typically involve the application of targeted insecticides or baiting systems to identify and eradicate ant colonies. Professionals assess the extent of the infestation, locate the nest sites, and implement strategies to reduce or eliminate the population of red ants. The goal is to address the problem efficiently and prevent future invasions by disrupting the colony’s reproductive cycle and foraging pathways.

Red ant problems can cause significant nuisances, especially in outdoor living areas, gardens, and around building foundations. Their presence can lead to increased discomfort for residents and visitors, as well as potential damage to plants and structures. In some cases, red ants may bite or sting, causing irritation or allergic reactions. Effective extermination helps restore comfort and safety to affected properties by removing the ants and reducing the likelihood of re-infestation.

Properties that commonly utilize red ant extermination services include single-family homes, apartment complexes, commercial buildings, and agricultural facilities. Homes with gardens, patios, or outdoor play areas are often targeted because of the nuisance and potential health concerns posed by red ants. Commercial properties such as restaurants, retail stores, and office buildings also seek extermination services to maintain a pest-free environment for employees and customers. Agricultural operations may require red ant control to protect crops and prevent damage caused by large colonies.

Professional red ant extermination services are tailored to the specific needs of each property type and infestation level. Local pest control providers use a combination of treatments, including baiting, dusting, and liquid insecticides, to ensure thorough eradication. Regular inspections and follow-up treatments are often recommended to maintain a pest-free environment. Contacting experienced service providers can help property owners address red ant issues effectively, ensuring a cleaner and safer space for residents, employees, and visitors.

The overview below groups typical Red Ant Extermination projects into broad ranges so you can see how smaller, mid-sized, and larger jobs often compare in Tomball, TX.

In many markets, a large share of routine jobs stays in the lower and middle ranges, while only a smaller percentage of projects moves into the highest bands when the work is more complex or site conditions are harder than average.

Initial Inspection - The cost for an initial inspection of pest activity typically ranges from $50 to $150, depending on the property's size and complexity. This fee may cover identifying the extent of ant infestation and recommending treatment options.

Basic Treatment - Standard ant extermination services usually cost between $100 and $300 for a single treatment. Larger properties or severe infestations might increase the price to $400 or more.

Follow-Up Visits - Follow-up treatments generally cost between $75 and $200 per visit. These visits ensure that ants are fully eradicated and prevent future re-infestation.

Comprehensive Service Packages - Complete pest control packages for ant extermination can range from $200 to $600, often including multiple treatments and ongoing monitoring services. Costs vary based on property size and infestation severity.

Actual totals will depend on details like access to the work area, the scope of the project, and the materials selected, so use these as general starting points rather than exact figures.

Get a Red Ant Extermination Quote

Ant Extermination - Local pest control providers offer specialized treatments to eliminate ant infestations and prevent future issues in residential and commercial properties.

Termite Extermination - Experienced contractors provide effective termite control solutions to protect structures from costly damage caused by these pests.

Carpenter Ant Removal - Service providers use targeted methods to remove carpenter ants and address any underlying wood damage or moisture issues.

Pavement Ant Control - Local pros deliver treatments to control pavement ant populations around building foundations and outdoor areas.

Fire Ant Eradication - Experts use specialized techniques to reduce fire ant colonies and minimize their impact on outdoor spaces.

General Pest Removal - Pest control specialists address multiple ant species and other common pests to maintain a pest-free environment.

Red Ant Extermination

When selecting a professional for Red Ant Extermination services, experience is a key factor to consider. Homeowners should look for local service providers who have a proven track record in pest control, particularly with ant infestations. An experienced contractor will understand the specific behaviors and habitats of red ants, which can lead to more effective treatment strategies. It’s beneficial to review how long a local pro has been operating in the Tomball, TX area and their familiarity with the unique challenges faced by homes in the region.

Clear communication and written expectations are essential for a satisfactory service experience. Reputable local pros typically provide detailed explanations of their treatment methods, what homeowners can expect during and after the service, and any necessary follow-up actions. Having these expectations documented helps ensure that both parties are aligned and can reduce misunderstandings. Homeowners are encouraged to ask prospective providers about their approach to pest control and request written summaries of the scope of work before any treatment begins.

References and reputation play a significant role in evaluating local pest control providers. Homeowners should seek out service providers with established reputations within the community, which can often be verified through references or local reviews. Reputable professionals tend to have positive feedback from previous clients, indicating reliability and quality of service. Effective communication, transparency about procedures, and a strong local reputation are indicators of a trustworthy provider for Red Ant Extermination needs in Tomball, TX and surrounding areas.

Get a Red Ant Extermination Quote

Property owners in Tomball, TX use Red Ant Extermination services for practical projects around their homes and businesses. The sections below highlight everyday jobs and straightforward project options.

Red Ant Extermination
Red Ant Extermination

Red ant infestations can become a common nuisance for property owners in Tomball, TX, especially during warmer months when these pests are most active. Homeowners and business owners might seek professional extermination services to address these issues promptly, preventing the ants from spreading further into living or working spaces. Local pest control providers can assess the extent of the problem and implement targeted treatments to eliminate red ants and reduce the risk of future invasions.

In addition to immediate removal, property owners may look for services that help prevent re-infestation by identifying and addressing attractants like food debris or moisture sources. Whether dealing with a small colony or a larger infestation, connecting with experienced exterminators can ensure effective solutions tailored to the specific needs of properties in Tomball. This helps maintain a pest-free environment and minimizes disruptions caused by these persistent insects.

Get a Red Ant Extermination Quote

How do I know if I have a red ant infestation? Signs of a red ant infestation include visible ants around your home, especially near food sources or entry points, and the presence of small mounds or trails in your yard.

Are red ants dangerous? Red ants can deliver painful stings and may cause allergic reactions in some individuals; it is advisable to address an infestation promptly.

What methods do extermination service providers use to eliminate red ants? Local professionals typically use targeted treatments such as baits, sprays, and barrier methods to effectively control red ant populations.

How long does red ant extermination usually take? The duration of treatment varies depending on the extent of the infestation, but most services aim to reduce or eliminate ants within a few visits.

Can red ant problems come back after treatment? While treatments are effective, red ants can return if new colonies are established or if access points are not sealed; ongoing prevention measures are recommended.

Red Ant Extermination Services - Local pest control providers offer targeted solutions to eliminate red ants from residential and commercial properties.

Inspection and Identification - Pros can assess infested areas to identify ant nests and determine the most effective treatment methods.

Customized Treatment Plans - Service providers develop tailored approaches to address the extent of the infestation and prevent future issues.

Ongoing Prevention Strategies - Experts can advise on measures to reduce attractants and barriers to keep red ants from returning.

Red Ant Extermination

Considering Red Ant Extermination for a property in Tomball, TX? The sections above highlight common project types, practical options, and details that often shape the scope of work.

When you are ready, use the quote form to share a few details about your project. Local pros can review the basics and respond with options that match what you have in mind.

Get a Red Ant Extermination Quote

Red Ant Extermination Quotes

Our Trusted Partners
Cantu Pest Control
Orkin
Hawx Pest Control