Local Service Overview

Get Red Ant Extermination in Magnolia, TX

Red Ant Extermination services for Magnolia, TX, property owners address pest infestations, rodent removal, and termite treatments through local professionals.

Magnolia, TX

Red Ant Extermination services are essential for property owners in Magnolia, TX seeking to manage and prevent ant infestations effectively. Proper extermination not only enhances comfort by reducing the presence of pests but also contributes to safety by minimizing potential health risks associated with ant colonies. Additionally, professional pest control helps maintain the functionality and durability of structures by preventing damage caused by ant activity, which can compromise wood and other building materials over time.

Choosing expert extermination services can also improve curb appeal by ensuring outdoor spaces and landscaping remain free of unsightly ant mounds and trails. Reduced maintenance efforts are another benefit, as regular pest management can prevent recurring issues that demand frequent attention. Overall, reliable pest control offers property owners peace of mind, supporting a safe, attractive, and well-maintained environment.

Get Red Ant Extermination Quotes

  • Red Ant Extermination services are needed when red ants invade residential or commercial properties in Magnolia, TX and nearby areas.
  • Red Ant Extermination is essential for homeowners experiencing persistent ant colonies in their yards or indoor spaces.
  • Red Ant Extermination may be required when ant infestations threaten gardens, landscapes, or outdoor dining areas.
  • Red Ant Extermination is recommended for property owners dealing with large or aggressive ant nests on their premises.
  • Red Ant Extermination services are useful for those seeking to eliminate red ant populations before they cause damage or discomfort.

Get Red Ant Extermination Quotes

Red Ant Extermination
Red Ant Extermination
Red Ant Extermination

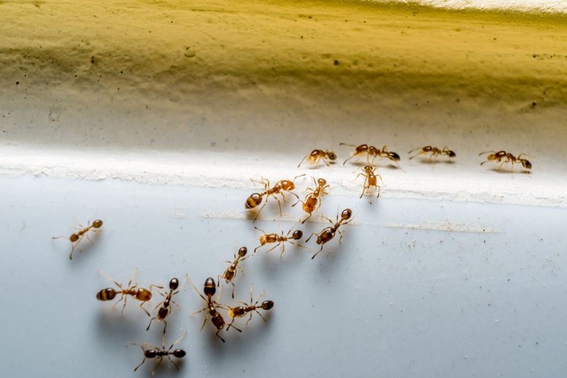
Red ant extermination services focus on identifying and eliminating red ant colonies that have established themselves on residential, commercial, or industrial properties. These services typically involve thorough inspections to locate active nests and determine the extent of the infestation. Treatment methods may include targeted baiting, applying insecticides, and sometimes physical removal of nests. The goal is to reduce or eradicate red ant populations to prevent further intrusion and damage, providing property owners with a more comfortable and pest-free environment.

Red ants can pose various problems for property owners, particularly when their colonies grow large or invade indoor spaces. They can damage plants, wooden structures, or electrical wiring, leading to costly repairs. Additionally, red ants can become a nuisance by invading kitchens, pantries, or other areas where food is stored, creating hygiene concerns. Their persistent presence can also affect outdoor activities and landscaping, making pest control a priority for those experiencing ongoing ant activity.

Properties that typically utilize red ant extermination services include homes, especially those with gardens or landscaped yards, as well as commercial establishments such as restaurants, warehouses, and retail stores. Agricultural facilities and recreational areas like parks or playgrounds may also seek these services to manage ant populations that threaten crops, equipment, or the safety of visitors. No matter the property type, professional extermination helps address infestations efficiently and reduces the risk of recurring problems.

Engaging with local pest control providers for red ant extermination can ensure that the specific needs of each property are addressed with tailored solutions. These professionals use proven techniques to control and prevent red ant populations, helping property owners maintain a pest-free environment. Contacting experienced local service providers can be an effective step toward managing red ant issues and protecting the value and functionality of various properties.

The overview below groups typical Red Ant Extermination projects into broad ranges so you can see how smaller, mid-sized, and larger jobs often compare in Magnolia, TX.

In many markets, a large share of routine jobs stays in the lower and middle ranges, while only a smaller percentage of projects moves into the highest bands when the work is more complex or site conditions are harder than average.

Initial Inspection - The cost for a thorough inspection of a property for pest activity typically ranges from $100 to $250, depending on the size and location of the property. This fee covers identifying pest issues and determining treatment needs.

Pest Treatment - Treatment services for Red Ant extermination generally cost between $150 and $400 per treatment, with larger or heavily infested properties tending toward the higher end of the range.

Follow-Up Visits - Follow-up visits to ensure complete eradication usually cost between $75 and $200 each, depending on the extent of the infestation and treatment complexity.

Package Deals - Comprehensive pest control packages, including multiple treatments and inspections, often range from $300 to $800, offering ongoing management for properties in Magnolia, TX, and nearby areas.

Actual totals will depend on details like access to the work area, the scope of the project, and the materials selected, so use these as general starting points rather than exact figures.

Get a Red Ant Extermination Quote

Ant Extermination - Local pest control providers offer specialized services to eliminate ant infestations and prevent future problems in residential and commercial properties.

Termite Control - Service providers in the area can assess and treat termite issues to protect structures from damage caused by these wood-destroying insects.

Carpenter Ant Removal - Local pros provide targeted treatments to remove carpenter ants and address any underlying wood damage they may cause.

Fire Ant Management - Experts can implement control strategies to reduce fire ant populations and minimize their nuisance and potential bites.

Rodent and Pest Prevention - Local extermination services often include measures to prevent ant and other pest re-infestations around properties.

Wildlife Exclusion Services - Some providers also offer exclusion techniques to prevent ants and other pests from entering buildings through structural gaps.

Red Ant Extermination

Red ant extermination services can vary significantly in terms of experience. Homeowners are encouraged to consider how long a local provider has been operating in the Magnolia, TX area, as established businesses often bring a depth of knowledge about ant behaviors and effective treatment methods. When evaluating options, it’s helpful to review the background of each service provider to understand their familiarity with red ant issues specifically, which can influence the effectiveness of the treatment plan.

Clear communication of what to expect from an extermination service is essential. Reputable local pros typically provide detailed explanations of their treatment approaches, including the scope of work, potential outcomes, and any follow-up procedures. Homeowners should seek providers who are transparent about their methods and willing to address questions or concerns, ensuring that expectations are aligned from the outset.

References and reputation are key factors when comparing local ant extermination professionals. Reliable service providers often have a history of positive feedback from previous clients in the Magnolia area. It’s beneficial to ask for references or read reviews to gauge the consistency of quality and professionalism. Additionally, choosing a provider known for good communication can help ensure that the process runs smoothly, with updates and responses to inquiries provided in a timely manner.

Get a Red Ant Extermination Quote

Property owners in Magnolia, TX use Red Ant Extermination services for practical projects around their homes and businesses. The sections below highlight everyday jobs and straightforward project options.

Red Ant Extermination
Red Ant Extermination

Red ant extermination services are often sought by property owners in Magnolia, TX, who notice an increasing presence of these pests around their homes or gardens. Red ants can form large colonies that may invade outdoor spaces, and in some cases, they may find their way into indoor areas, creating nuisances or potential hazards. Property owners might look for professional assistance when ant activity becomes persistent or difficult to manage with DIY methods, especially if the colonies are extensive or located near foundations, lawns, or outdoor structures.

Additionally, residents in Magnolia may consider red ant extermination services to prevent potential damage to landscaping or to protect children and pets from ant bites. In some instances, red ants can pose health concerns or become a nuisance during outdoor activities. Engaging local pest control providers ensures that the problem is addressed effectively, helping to restore comfort and safety in residential or commercial properties.

Get a Red Ant Extermination Quote

How do pest control professionals eliminate red ants? Local pest control providers typically use targeted treatments such as baits, insecticides, or dusts to effectively remove red ant colonies from residential and commercial properties in Magnolia, TX.

Are red ant treatments safe for pets and children? Many local service providers use products that are safe when applied properly; it is recommended to discuss safety concerns with the chosen pest control professional before treatment.

How long does a red ant extermination typically take? The duration of treatment varies depending on the extent of the infestation, but most services aim to complete the process efficiently to address the problem promptly.

Will I need multiple treatments for red ant control? Some cases may require follow-up treatments to ensure complete eradication, which can be discussed with the local pest control provider during consultation.

How can I prevent future red ant infestations? Local pest control experts can provide advice on property maintenance and preventative measures to reduce the likelihood of red ant re-infestation in Magnolia, TX.

Red Ant Extermination Services - Local pest control providers offer targeted solutions to eliminate red ants from residential and commercial properties in Magnolia, TX.

Inspection and Identification - Professionals can assess infested areas to identify ant nests and determine the most effective treatment methods.

Treatment Options - Service providers utilize various methods, including baiting and residual sprays, to effectively control and prevent red ant infestations.

Preventive Advice - Experts can provide recommendations to reduce the likelihood of future ant problems and maintain a pest-free environment.

Red Ant Extermination

Considering Red Ant Extermination for a property in Magnolia, TX? The sections above highlight common project types, practical options, and details that often shape the scope of work.

When you are ready, use the quote form to share a few details about your project. Local pros can review the basics and respond with options that match what you have in mind.

Get a Red Ant Extermination Quote

Red Ant Extermination Quotes

Our Trusted Partners
Cantu Pest Control
Orkin
Hawx Pest Control