Local Service Overview

Get Black Ant Extermination in Magnolia, TX

Black Ant Extermination services for property owners in Magnolia, TX, typically address ant infestations, prevent future invasions, and treat affected areas through local pest control professionals.

Magnolia, TX

Black ant extermination services provide property owners in Magnolia, TX with an effective solution to manage and eliminate ant infestations. These services help maintain a comfortable living environment by reducing the presence of unwanted pests that can invade homes and outdoor spaces. Proper extermination can also enhance safety by preventing potential issues related to ant bites or the spread of bacteria, contributing to a more secure and hygienic property.

In addition to safety and comfort, professional ant control can improve a property's overall functionality and curb appeal. Eliminating ant colonies reduces the likelihood of damage to structures, wiring, or landscaping, which can lead to costly repairs. Regular pest management also supports durability and reduces ongoing maintenance needs, helping property owners preserve the appearance and value of their homes and landscapes.

Get Black Ant Extermination Quotes

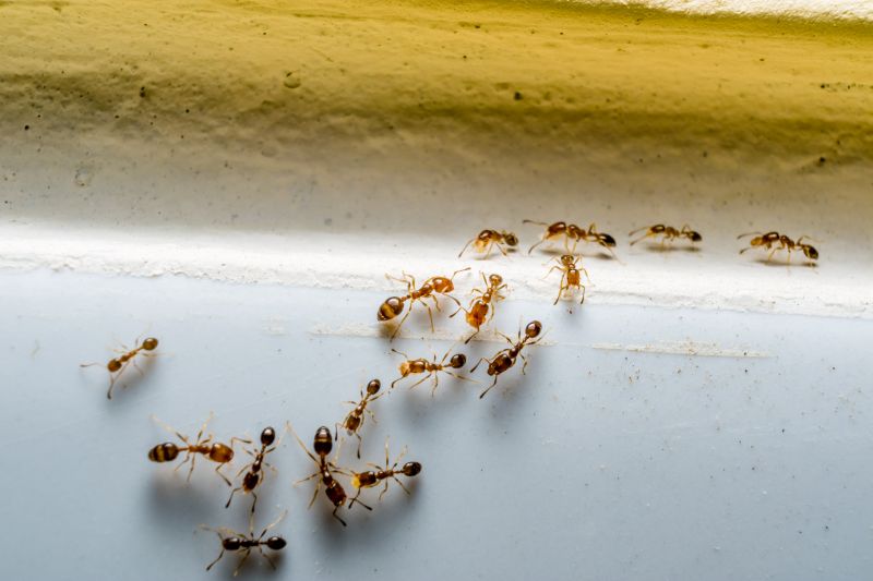
  • Ant Extermination - needed when black ants invade kitchens, pantries, or outdoor areas around Magnolia, TX.
  • Indoor Black Ant Control - required if black ants are found nesting inside walls, basements, or crawl spaces.
  • Outdoor Black Ant Treatment - appropriate for eliminating colonies around yards, gardens, or building foundations in nearby communities.
  • Preventive Black Ant Services - useful for homeowners seeking to stop black ant infestations before they begin.
  • Emergency Black Ant Removal - necessary when black ant swarms suddenly appear and threaten indoor living spaces.

Get Black Ant Extermination Quotes

Black Ant Extermination
Black Ant Extermination
Black Ant Extermination

Black ant extermination services focus on identifying and eliminating ant colonies that invade residential and commercial properties. These services typically involve thorough inspections to locate ant nests and entry points, followed by targeted treatments using specialized products. Service providers may apply baiting systems, residual insecticides, or dust formulations to effectively reduce ant populations and prevent future infestations. The goal is to create a barrier that deters ants from returning and to address existing colonies at their source.

Ant problems can cause significant nuisance, especially in homes and businesses where food storage and preparation occur. Black ants often seek out sweet or greasy foods, leading to contamination concerns and discomfort for inhabitants. In addition to the annoyance, large infestations can attract other pests or cause structural damage if ants establish nests within walls or foundations. Professional extermination services help resolve these issues efficiently, minimizing the impact on daily activities and maintaining a cleaner, safer environment.

Both residential properties and commercial establishments frequently utilize black ant extermination services. Homes in suburban neighborhoods, apartment complexes, and condominiums often face ant invasions, particularly during warmer months when ants are most active. Commercial facilities such as restaurants, grocery stores, and warehouses also rely on pest control providers to maintain pest-free conditions that meet health and safety standards. The versatility of these services allows them to address ant infestations across a variety of property types, ensuring effective control regardless of the setting.

Professional exterminators employ a range of methods tailored to the specific needs of each property. They may use bait stations placed strategically around the property or apply liquid treatments to cracks, crevices, and entry points. Follow-up visits are often recommended to monitor the situation and ensure that the ant colonies are fully eradicated. Contacting local pest control providers can help property owners and managers find effective solutions to eliminate black ants and prevent future problems, contributing to a more comfortable and pest-free environment.

The overview below groups typical Black Ant Extermination projects into broad ranges so you can see how smaller, mid-sized, and larger jobs often compare in Magnolia, TX.

In many markets, a large share of routine jobs stays in the lower and middle ranges, while only a smaller percentage of projects moves into the highest bands when the work is more complex or site conditions are harder than average.

Initial Black Ant Extermination - The cost for a single treatment typically ranges from $150 to $300, depending on the size of the infested area. Some providers may charge around $200 for standard residential services in Magnolia, TX. Prices can vary based on the extent of the infestation and property size.

Follow-Up Treatments - Follow-up visits generally cost between $100 and $250 each, with most homeowners scheduling 2-3 visits. The total expense depends on the severity of the ant problem and the number of treatments needed. Service providers may offer discounted packages for multiple visits.

Inspection and Consultation - An inspection to assess the extent of ant activity typically costs between $50 and $150. This fee may be applied toward the cost of treatment if services are scheduled afterward. The price varies based on property size and inspection complexity.

Emergency or Same-Day Services - Emergency or same-day extermination services can range from $200 to $400, reflecting the urgency and additional resources required. Costs depend on the timing, location, and specific service provider policies in Magnolia, TX. These services are often priced higher due to immediate response needs.

Actual totals will depend on details like access to the work area, the scope of the project, and the materials selected, so use these as general starting points rather than exact figures.

Get a Black Ant Extermination Quote

Black Ant Extermination services involve specialized treatments to eliminate black ants from residential and commercial properties in Magnolia, TX. Local pest control providers offer targeted solutions to address black ant infestations effectively.

Black Ant Inspection services include thorough assessments to identify the extent of black ant activity and determine the best treatment approach. Local pros can evaluate property conditions to develop customized plans.

Black Ant Prevention services focus on implementing barriers and habitat modifications to reduce the likelihood of future infestations. Local experts provide advice on maintaining ant-free environments.

Black Ant Baiting treatments involve placing bait stations to attract and eliminate black ants at their source. Local pest control specialists can set up and monitor effective baiting systems.

Black Ant Barrier Treatments services utilize chemical barriers around structures to prevent black ant entry. Local providers apply these barriers to protect properties from recurring invasions.

Black Ant Removal services encompass the complete eradication of black ant colonies through targeted treatments. Local pros employ proven methods to eliminate infestations efficiently.

Black Ant Extermination

When selecting a professional for Black Ant Extermination services, it is important to consider their experience in handling ant infestations. Homeowners should look for local service providers who have a proven track record in managing ant problems similar to those encountered in Magnolia, TX. Established pros often have extensive knowledge of ant behaviors and effective treatment methods, which can contribute to more reliable results. Gathering information about their background and the length of time they have been providing pest control services can help ensure that the chosen professional has the necessary expertise for the job.

Clear communication and well-defined expectations are essential when working with local pest control providers. Homeowners should seek out pros who are transparent about their treatment processes, what customers can expect during and after the service, and any follow-up procedures. Reputable service providers often have detailed explanations of their methods and are willing to answer questions to ensure clients feel informed and comfortable. Establishing open lines of communication can help prevent misunderstandings and contribute to a smoother service experience.

Reputable references and reviews can serve as valuable indicators of a pest control provider’s reliability and quality of work. Homeowners are encouraged to inquire about previous customer experiences or seek out local reviews to gauge the satisfaction of past clients. A professional with positive references typically demonstrates consistent service quality and professionalism. Since this platform introduces local options rather than performing the work itself, it is recommended to contact multiple service providers to compare their experience, communication style, and reputation before making a selection.

Get a Black Ant Extermination Quote

Property owners in Magnolia, TX use Black Ant Extermination services for practical projects around their homes and businesses. The sections below highlight everyday jobs and straightforward project options.

Black Ant Extermination
Black Ant Extermination

Black ant extermination services are often sought by property owners in Magnolia, TX, who notice persistent ant activity around their homes or businesses. Common situations include encountering large ant colonies in kitchens, around foundations, or in outdoor landscaping. Property owners may look for professional assistance to effectively eliminate the ants and prevent future invasions, especially when DIY methods have proven ineffective or when the infestation appears to be spreading.

Additionally, residents and business owners might seek black ant extermination when dealing with recurring problems that disrupt daily activities or compromise cleanliness. For those concerned about maintaining a safe and comfortable environment, connecting with local service providers can offer targeted solutions to address ant issues promptly and efficiently.

Get a Black Ant Extermination Quote

Why are black ants attracted to my home? Black ants are drawn to food sources, moisture, and shelter around residential areas, making homes appealing for nesting and foraging.

How can I prevent black ants from entering my property? Keeping food sealed, fixing leaks, and maintaining clean surroundings can reduce attractants and help prevent ant entry.

What extermination methods do local professionals use for black ants? Service providers typically use baiting, targeted treatments, and perimeter barriers to eliminate black ant infestations effectively.

Are black ant infestations difficult to control on my own? Yes, black ant colonies can be extensive and persistent, often requiring professional treatment for thorough eradication.

How often should I have my property inspected for black ants? Regular inspections by local experts are recommended to detect early signs of activity and prevent larger infestations.

Black Ant Extermination Techniques - Local pest control providers offer various methods to effectively eliminate black ants from residential and commercial properties.

Preventative Black Ant Control - Professionals can assess property conditions to identify and address factors that attract black ants, reducing future infestations.

Black Ant Inspection Services - Trained experts perform thorough inspections to locate ant colonies and determine the extent of an infestation.

Black Ant Removal Solutions - Service providers utilize targeted treatments to remove black ants and prevent their return.

Black Ant Extermination

Considering Black Ant Extermination for a property in Magnolia, TX? The sections above highlight common project types, practical options, and details that often shape the scope of work.

When you are ready, use the quote form to share a few details about your project. Local pros can review the basics and respond with options that match what you have in mind.

Get a Black Ant Extermination Quote

Black Ant Extermination Quotes

Our Trusted Partners
Cantu Pest Control
Orkin
Hawx Pest Control